Minder internet gehad de laatste dag.....
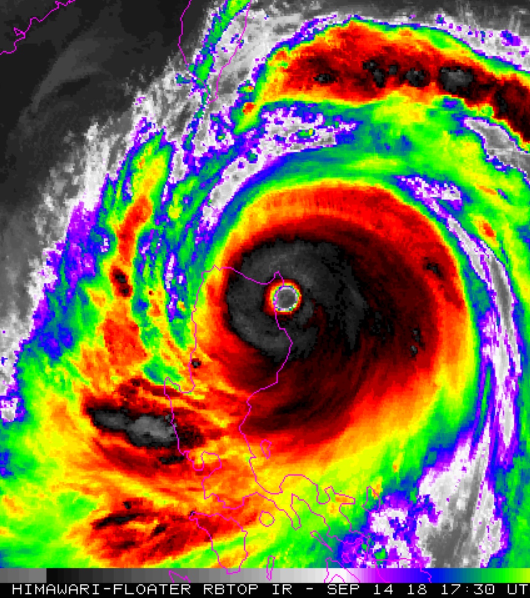
Ziet eruit dat het net niet zo intens als Haiyan geworden is, maar de uren voor landfall is er nog veel aan intensiteit gewonnen. Die 905 mbar wordt zeker lager.
Daarnaast, kijk naar het satellietbeeld..... Dit is een extreem zware directe hit. Zeldzaam.
