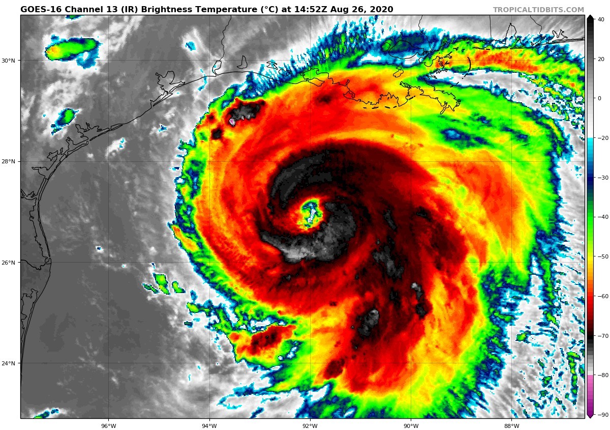
De meest recente 'advisory' (15 uur UTC) is toch wel opmerkelijk. De gemiddelde windsnelheid is inmiddels 125 mph (201 km/h) en daarmee is Laura inmiddels al dichtbij het bereiken van categorie 4 (vanaf 130 mph).
De vorige 'advisory' (van zes uur terug) ging nog voor een maximale windsnelheid van 130 mph, maar in de meest recente update is dit verhoogd naar 145 mph (233 km/h). Zelfs een zeer forse categorie 4 dus.
Wat bovendien opvalt is dat de verwachte stormvloed ook nog eens fors hoger kan uitpakken. Vanochtend werd nog uitgegaan van een stormvloed van 8 - 13 feet (2,4 - 4,0 meter), maar nu is dat verhoogd naar 15 - 20 geef (4,6 - 6,1 meter) voor sommige plaatsen.
Dit jaar is eigenlijk de eerste keer dat ik me serieus bezig houdt met het orkaanseizoen op de Atlantische Oceaan, vandaar dat ik niet direct een 'extremere' orkaan kan opnoemen die de Amerikaanse Golfkust heeft getroffen. Iemand die dat wel weet? Of is dit wel een van de meest extreme situaties?

