Het Indiase Meteorologische Departement heeft de tropische cycloon op het moment van schrijven officieel de status van extremely severe tropical cyclone gegeven. De op één na hoogste categorie voor dat bassin.
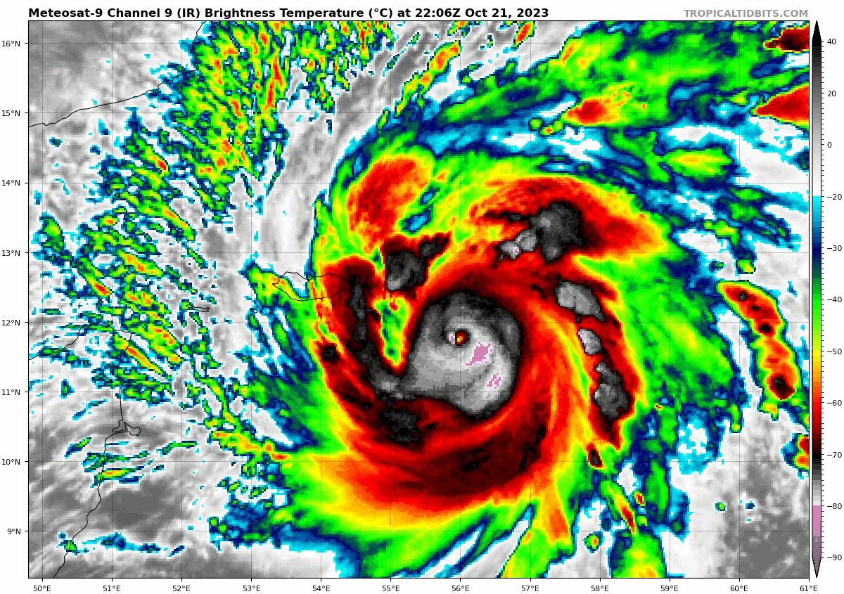
Tej is boven de Arabische Zee inmiddels aangesterkt tot een categorie 3 orkaan, volgens het JTWC gaat het systeem later vandaag pieken met windsnelheden van 230 km/u. Wat gelijk staat aan een orkaan van de vierde categorie. Daarna lijkt de cycloon langzaam af te zwakken tot een orkaan van rond de kracht van een categorie 3 TC vlak voor de aankomst aan land in het grensgebied van Jemen en Oman. Tijdens de landfall nog altijd een dikke categorie 1 orkaan. Het enige geluk daarbij is dat die regio dunbevolkt is, hoewel steden als Salalah er wel overlast van kunnen krijgen. Voorlopig lijkt vooral de oostelijke helft van Socotra er vrij fors van langs te krijgen. Over een paar dagen is dan het vaste land van Jemen en Oman aan de beurt. Zelf heb ik wel het idee dat de orkaan tijdelijk wat af lijkt te zwakken door wrijving met het bergachtige Socotra. Dit onder meer aan de hand van de infraroodbeelden, waarbij de wolkentoppen iets minder koud ogen op nadering van dat eiland.
Tegelijkertijd broeit er ook een tropische depressie boven de Golf van Bengalen. Dit systeem lijkt volgens de verwachtingen niet zwaarder te worden dan een tropische storm bij het moment van arriveren in Bangladesh. Wordt overigens wel veel regen bij verwacht.
Joint Typhoon Warning Center (JTWC) (navy.mil)
Home | India Meteorological Department (imd.gov.in)
Link naar de IMD verwachting voor Tej en de TD in de Golf van Bengalen:
13. National Bulletin No. 13-20231022_0000.pdf (imd.gov.in)


