Weerwoord
Algemeen
(current)
Verdieping
Foto's
Toggle navigation
Zoek
Foto's
Links
Registreer
Login
Beestjes…
Bericht van: Yaro (Wommelgem, Antwerpen) , 04-06-2025 19:58
Quote selectie
Weerstation Wommelgem
antwoorden
Toggle Dropdown
Quote bericht
Het gaat los in zuid Duitsland
(
1621)
Peter (Wiltz -Luxemburg)
(
381m)
-- 04-06-2025 19:12
Mooie cel bij München
(
824)
Len (Neerkant - NL)
(
30m)
-- 04-06-2025 19:18
mogelijke tornado in de buurt van Ulm:
(
179)
Eric, Rotterdam -- 04-06-2025 23:08
Re: Het gaat los in zuid Duitsland
(
695)
Jeroen (Zwevegem)
(
41m)
-- 04-06-2025 19:28
Re: Het gaat los in zuid Duitsland
(
428)
Wilco (Zevenhuizen) -- 04-06-2025 19:32
Re: Het gaat los in zuid Duitsland
(
331)
Hein (Rhoon/Schiedam) -- 04-06-2025 19:40
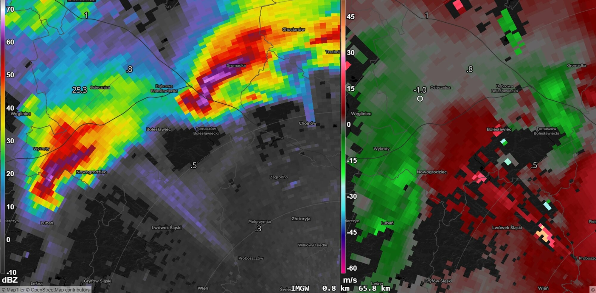
Supercell met hook echo in Polen
(
776)
Len (Neerkant - NL)
(
30m)
-- 04-06-2025 19:45
Beestjes…
(
688)
Yaro (Wommelgem, Antwerpen)
(
14m)
-- 04-06-2025 19:58
Re: Beestjes…
(
543)
Peter (Wiltz -Luxemburg)
(
381m)
-- 04-06-2025 20:07
Zijn geen beestjes, zijn schimmels.
(
337)
Marc (Lierde O-Vl)
(
45m)
-- 04-06-2025 20:18
Aardig wat bliksemactiviteit op het moment
(
603)
Stefan (Wezep)
(
2m)
-- 04-06-2025 19:57
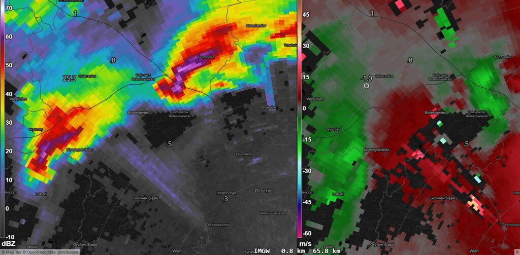
Screenshot van een van de buien
(
698)
Stefan (Wezep)
(
2m)
-- 04-06-2025 19:59