Cycloon Narelle vormt grote bedreiging voor Queensland, Australië.

Bericht van: Novi (Meppel) , 19-03-2026 08:28 

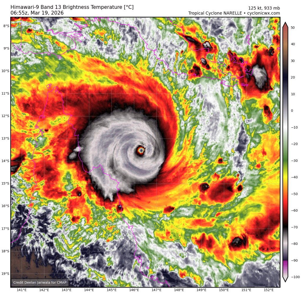
Voor het uiterste noorden van Queensland vormt de zware cycloon Narelle een grote bedreiging, het kan voor die regio zelfs de zwaarste tropische cycloon worden sinds 1899. Er worden, op dit moment, windstoten geschat tot 195 mph (315 km/u) binnen de cycloon. Volgens de BOM is de luchtdruk gezakt naar 926 hPa en volgens de JTWC 933 hPa. Narelle is overigens nog steeds aan het intensifiëren, dus de kans is zeer groot dat het een catastrofale impact gaat hebben op die regio. Gelukkig is, voor zover ik weet, het getroffen gebied redelijk dunbevolkt. 




Sunshine is delicious, rain is refreshing, wind braces us up, snow is exhilarating; there is really no such thing as bad weather, only different kinds of good weather.

Landfall als cat 5 of high end cat 4   ( 96)
Eric, Rotterdam -- 19-03-2026 11:41