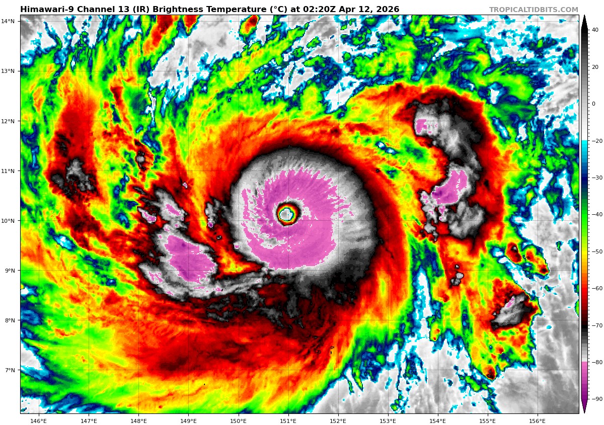
Gisteren zou 944mbar de pieksterkte zijn op het moment van passeren van Guam, over een dag of 2-3. Ineens is het heel hard gegaan met de aansterking, want nu is de 944mbar al bereikt. Momenteel is er ontzettend veel vocht voorhanden, de cycloon wordt omgeven door hoge dauwpunten van 25-26C met watertemperaturen van 29C. Een fors sterke cycloon voor zo vroeg in het seizoen.
https://www.tropicaltidbits.com/storminfo/#04W
IR Satelliet

ECMWF dauwpunt op zeeniveau

