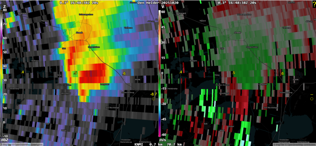
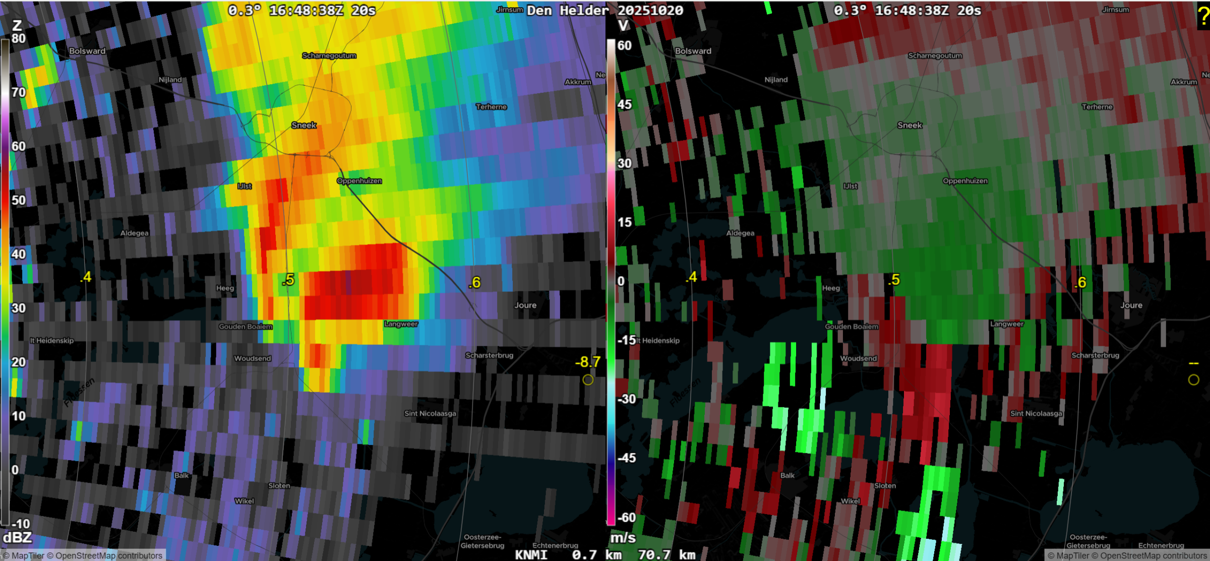
Radar toont duidelijk een supercell

Bericht van: Bram (Oldebroek/Bilthoven) , 20-10-2025 19:54 

Er is verder ook deze foto van: facebook.com/share/p/1GXEn3FiJ9/?mibextid=wwXIfr.

Hopelijk lukt het je om de video ergens te uploaden met behulp van de genoemde tips, ik ben erg benieuwd!


Bericht laatst bijgewerkt: 20-10-2025 19:55
Maker van NLradar. Voor de laatste versie (8 augustus 2020) zie: https://www.weerwoord.be/m/2624415

Hoosje? Maar ik kan de whatsapp video niet plaatsen   ( 1178)
Francien (Sint Nicolaasga) -- 20-10-2025 19:25
Re: Hoosje? Maar ik kan de whatsapp video niet plaatsen   ( 375)
Leonie (Ter Apel) -- 20-10-2025 19:27
  Flinke hoos zo te zien.  
Dirk (Sneek) ( 1m) -- 20-10-2025 19:27
Re: Flinke hoos zo te zien.   ( 292)
Hein (Rhoon/Schiedam) -- 20-10-2025 19:33
Tornado!   ( 444)
leviathanfd (Heerlen) -- 20-10-2025 19:33
In Frankrijk ook al een tornado. Beelden:   ( 311)
Eric, Rotterdam -- 20-10-2025 19:54
  Fors exemplaar als je het mij vraagt!  
Nicolas (Waregem) ( 48m) -- 20-10-2025 20:04
Heb je een prive bericht gestuurd!   ( 281)
Nick (Wierden) -- 20-10-2025 19:34
  Mooie vangst! De radar laat nu een aantal interessante cellen zien.  
Thom (Ens, Noordoostpolder) ( -4m) -- 20-10-2025 19:41
Heftig zeg! Schademeldingen?   ( 281)
Erik Jan (Bada-Torsby-Zweden) ( 80m) -- 20-10-2025 19:44
Radar toont duidelijk een supercell   ( 486)
Bram (Oldebroek/Bilthoven) -- 20-10-2025 19:54
  Dat is een flink exemplaar! Mooie vangst.  
Jan (Workum, FRL) -- 20-10-2025 20:02